THE STORM OF THE CENTURY WREAKS HAVOC
By: Hope Wilkos, Writer/Blogger
We gaze at the television screen and stare at our laptop screens in disbelief at what could only be described as a war zone in a country where no war was even fought. Buildings flattened, fallen trees creating obstacles across roads, vehicles tossed upside down from one side of the street to the other like toys being thrown across the room and the most heartbreaking sight of all, children wandering the streets looking for their mother and father or sister and brother.
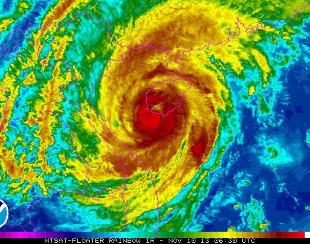
Just about a week ago, Tacioban in the Philippines was hit by one of the strongest cyclones on record. Now what was once considered a home, a place of safe refuge, is now only rubble. To put it all into perspective, this destructive storm was 3 1/2 times more powerful than Hurricane Katrina and as big as the area from Spain to Sweden. Wind speeds were clocked at well over 210 mph. The wrath of the angry ocean was overwhelming as it took over the Leyte province with waves as high as 16 feet. Storm surges ripped children right out of the arms of their mothers and many families could not even fight to stay together. A good many were thought to have washed out to sea, still missing in the sea of fury. Would the residents ever wake up from this horrible nightmare that was unraveling their lives bit by bit and continues day by day?
The situation has been so dreadful that trying to get relief to the hardest hit areas has been more than a challenge. Looting is a result of desperation, hunger and pain and sadness. The death toll in the Philippines now has risen well over 2300 with the United Nations placing the death toll at 4,460. Many are nowhere to be found. Mass burials are taking place by the numbers.
Finally water, rice and other staple items are reaching those that need them the most but the efforts may stretch on for months to come. The Philippine Military, the U.S. Military, and international aid groups are joining together to do what they do best, come to the aid of victims crying out for help. People around the world are ready to make donations. Those living in the U.S. ,with relatives in the Philippines, are anxiously awaiting word on the status of their loved ones, painfully praying for good news. One of those people is photographer, John-Paul Pietrus. Pietrus, with family in the Philippines, is donating a limited-edition print of Supermodel Naomi Campbell to benefit relief efforts in the area that was destroyed by Typhoon Haiyan. Ironically the print shows a very peaceful Campbell looking almost steadfast and unfaltering in her expression. It symbolizes promise, fortitude and strength. All proceeds from the sale of this limited-edition print will go to benefit the British Red Cross. Cost is $32 U.S. dollars.
The U.S. Government has sent planes and ships such as the USS George Washington to deliver emergency supplies and food. The military will help to expand search and rescue operations, provide logistical support and medical care and provide a platform for helicopters to move supplies to remote areas.
Where once bustling cities were visible as part of the Philippines economy, now only memories remain. Spirits may surely be dampened with darkness and optimism is at its lowest level but knowing that there are people who care and organizations ready to jump at the opportunity to do whatever it takes to get victims back on their feet certainly makes the whole situation so much easier to bear.
Organizations that are currently accepting donations are:
The International Committee of the Red Cross
International Rescue Committee
PHOTO CREDITS: John-Paul Pietrus, Bullit Marquez-A/P, Dondi Tawatao-Getty Images, Charlie Saceda-Reuters, Nelson Salting-A/P













